Pépinière la Réfriche
Noyer du Japon (Juglans ailantifolia) - Zone 5
Noyer du Japon (Juglans ailantifolia) - Zone 5
Impossible de charger la disponibilité du service de collecte à la ferme
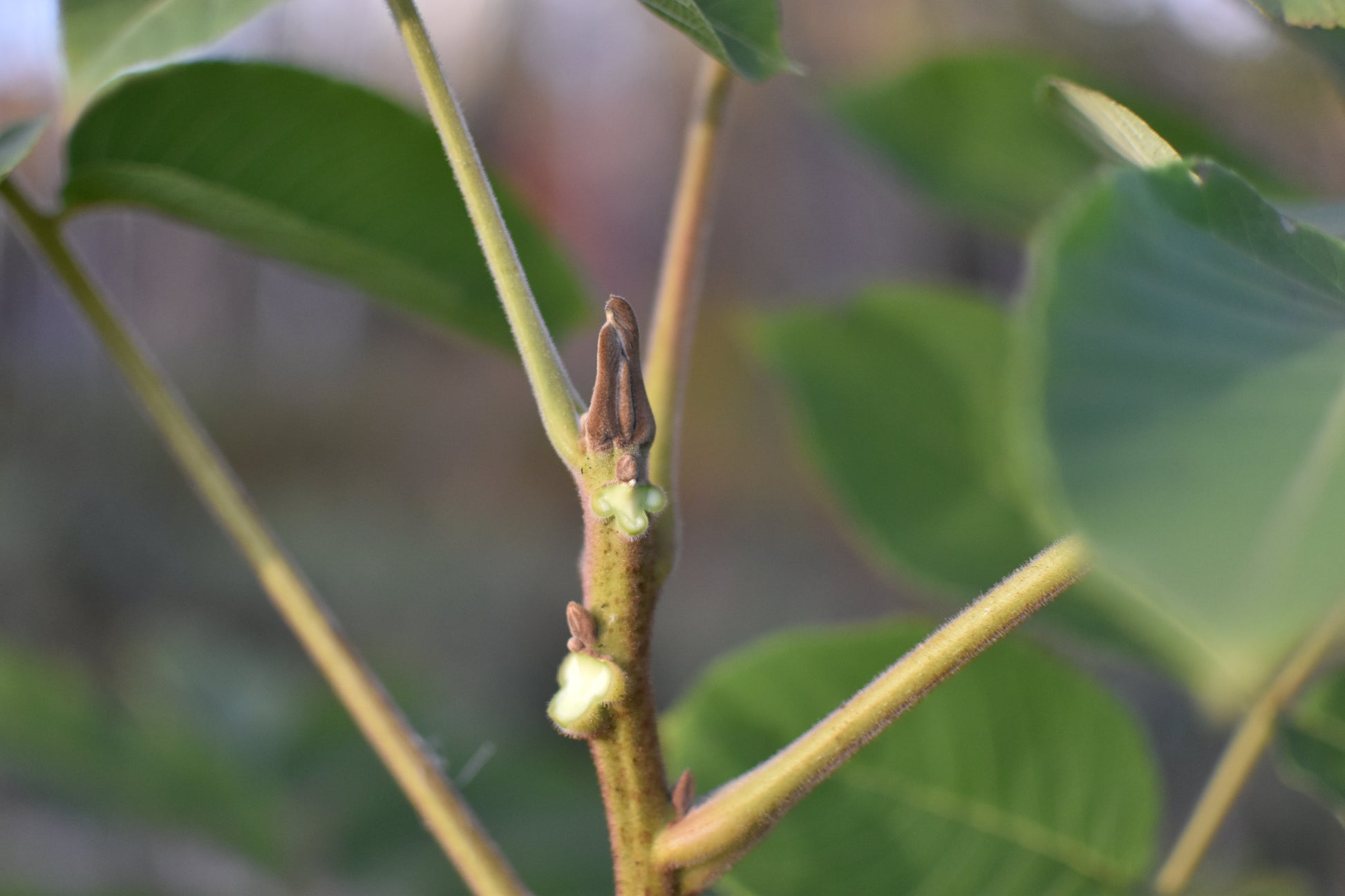
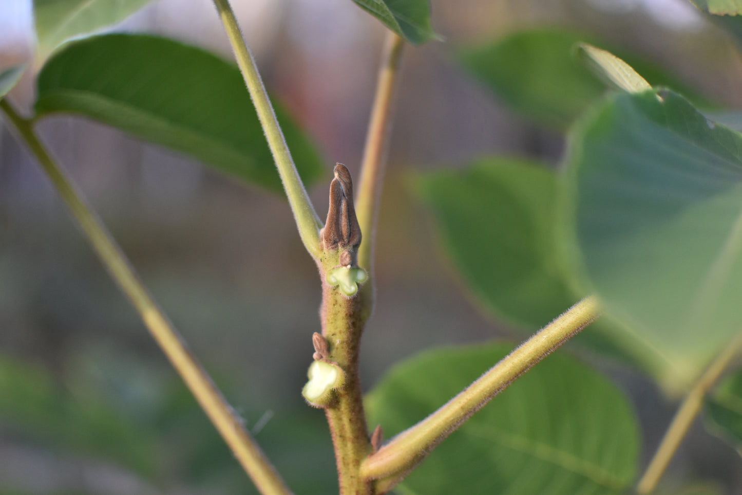
Juglans Ailantifolia var. cordiformis - Zone 5 : Le noyer du Japon, originaire d'Asie, a été importé en Amérique du Nord pour sa culture vers la fin du 19e siècle. Le caractère symétrique de la noix permet un cassage plus facile que celui de la noix de noyer noir ou encore du noyer cendré. L'extraction d'un cerneau entier ou encore un demi cerneau est fréquent. Ses feuilles très longues et ses grappes de noix donnent à l'arbre une allure tropicale qui est très ornementale. Un fait inusité, la variété cordiformis, ou en forme de coeur, offre une coque de noix à caractère unique qui permet la confection de collier ou encore de boucles d'oreilles.
Noyer du Japon semis de 'Imshu'- Zone 4 : Ces arbres sont les enfants de 'Imshu', un cultivar réputé parmi les plus rustiques des noyers du Japon et un des rares qui offre des récoltes régulièrement en zone 4. 'Imshu' a été développé par John Gordon et produit des noix en forme de coeur de calibre moyen qui, avec minutie, se cassent en un seul morceau.
Noyer du Japon lignée de 'Covell' - Zone 4 : Ces arbres très rustiques, dont les semences proviennent du Saguenay, sont les petits-enfants de 'Covell'. Ce cultivar a été développé par John Gordon, un hybrideur contemporain reconnu pour son travail sur les arbres à noix. Les noix de cet arbre ont la forme d'une noix de noyer japonais sauvage, qui ressemble à la noix de noyer cendré, mais qui est lisse. Son cerneau est généreux et gras propose des saveurs qui rappellent la de noix de coco plutôt que le beurre.
Biotope
Biotope
Il s'adapte à plusieurs types de sol, pourvu que celui-ci soit bien drainé. Une implantation en plein soleil et dans un sol profond est nécessaire pour la croissance et la production de fruits. Il préfère les sols frais et humides, mais pas détrempés. Il faut limiter son utilisation dans les les haies brise-vent, puisqu'il est préférable de planter le noyer du Japon dans un lieu protégé des vents. Idéal pour les vergers en permaculture ou les terres à bois. L'arbre ne projette qu'un ombrage partiel sous ses feuilles.
Bois
Bois
Son bois est plus léger et moins dur que celui du noyer noir. Il est tout de même utilisé en ébénisterie pour en faire des meubles. Il est recommandé d'implanter de 6m d'espacement pour la récolte de billes de bois et à 10m d'espacement pour la production de noix. Une taille annuelle est nécessaire pour établir un bon fût. Dans le cas des implantations serrées (3m ou 6m), des éclaircissements successifs sont nécessaires pour préserver une bonne croissance.
Taille et port
Taille et port
L'arbre peut atteindre de 10 à 25m de hauteur et une largeur de 10 à 15m sans compétition. Ils ont une faible dominance apicale qui les apportent à développer un port évasé.
Pollinisation
Pollinisation
Auto stérile. Une fructification idéale est atteinte par l'implantation d'au moins deux arbres différents. Les noix du noyer Japon sont les plus grasses et leur goût neutre se rapproche de la noix de coco. Il est nécessaire d'extraire leur brou, de les sécher et d'utiliser un casse-noix pour en extraire la chair.
Source
Source
Semences provenant de verger à noix commerciaux Québécois et Ontarien en zone 4a et 5a. Les arbres mères ont été sélectionnés pour leur rusticité à notre climat et la qualité gustative de leurs noix.
Share




